1. Introduction
Akselos offers a powerful set of tools designed for comprehensive asset integrity management of Hydrocracking Unit (HCU) reactors. A critical aspect of reactor operation is managing the risk of brittle fracture during startup and shutdown phases, which is accomplished through a Minimum Pressurization Temperature (MPT) assessment.
The MPT assessment workflow is initiated using the Akselos Reactor Wizards, a suite of specialized tools that automate the creation and configuration of the necessary simulation models. To provide a clear understanding of how this automation works, this guide details the manual steps for building the foundational models and performing a simplified analysis. This hands-on approach offers valuable insight into the underlying mechanics of the MPT assessment.
The Akselos Reactor Wizards include:
- Reactor Model-Load Configuration: Builds the foundational physics models. It automates the setup of the thermal model (for heat analysis) and the structural model (for stress analysis) by importing mesh files and configuring materials, boundary conditions, and load cases.
 - Reactor MPT Analysis Configuration: Prepares the model for the final assessment. It is used to input the MPT limit curves for different zones and define the specific parameters for the MPT calculation.
 - Sensor Configuration: Manages the data inputs for the analysis. It allows users to define the location, type, and properties of the sensors that provide real-time operational data.
 
Since the primary goal of this use case is to understand how the fundamental simulation models are created, we will focus exclusively on the Reactor Model-Load Configuration wizard.
This tutorial is part of a larger documentation series. For more specific details, please refer to:
- User Manual
 - Use Case 1: Akselos reactors wizards walkthrough (this document)
 - Use Case 2 : MPT Dashboard – What If Scenario
 - FAQs
 
1.1. Problem Statement and Objectives
This use case demonstrates the workflow for creating and validating base models that are ready for live integration. The Reactor Wizards are used to configure two base models:
- A Heat Model for Thermal Analysis
 - A Stress Model for Structural Analysis
 
These models are configured with default placeholder values, which will later be replaced by real-time sensor data once the system is live. After completing the configuration, basic validation checks are performed, such as reviewing load assignments, material properties, and simple analysis results, to ensure the setup is correct before deployment.
This exercise provides a practical understanding of the setup phase prior to automation and prepares the configuration for integration with live data streams, where the Akselos backend will perform fully automated heat transfer, stress analysis, and MPT assessment.
Upon completing this use case, the following will be achieved:
Understanding of the workflow for creating base models in Akselos Modeler with Reactors Wizards
Configuration of key components, materials, loads, and boundary conditions for Heat and Stress models
Validation of model configuration through basic checks and review of initial outputs
Awareness of how validated models connect to live sensor data for automated analysis and real-time monitoring in the cloud
Note: Full MPT assessments, including Utilization Factor (UF) calculation against MPT curves, are performed automatically once the base models are connected to the cloud and live sensor data.
1.2. Reactor model summary
This section provides a general overview of the data and properties used in this tutorial. The Reactor Wizards use this information to automate the model setup and configuration.
The wizards populate the heat and structural models with default temperature-dependent material properties. Key properties like Young's modulus change significantly with temperature, which affects the structural integrity of the reactor.

Similarly, the MPT curve defines the safe operating temperature for a given stress level to prevent brittle fracture. As the allowable stress on the material increases, the required minimum temperature also rises. The charts above visualize these critical relationships.
1.3. Before we start
Before diving into model creation, there are a few essential steps to ensure you have the proper setup and access required to work with the Reactor tool. Follow these steps carefully to avoid issues during the modeling and assessment process.
Step 1: Set Up Your Account and Access. Users will need an Akselos account with appropriate access permissions to the correct location. This is necessary to download the tool, create new model collections, and manage your simulations. If you haven’t already, review the following articles:
- [Create Akselos Portal Account] – Required to access the platform and use the tool.
 - [Akselos Portal for New Users] – Provides an overview of the platform’s features and interface.
 
Step 2: Install the Akselos Modeler, then import the Reactor plugins into Akselos Modeler. Ensure you have the most up-to-date version of both the Akselos Modeler and Reactor plugins installed. If you’re unsure or need help obtaining it, please contact Akselos support for assistance.
Step 3: Organize Your Working Folder. Efficient data management is key to a smooth workflow. Follow the best practices outlined in the article below to set up your simulation folders properly:
- [Working Folder and Data Management] – Recommendations for organizing files and managing simulation data on your local drive.
 
Step 4: Start with a New Model Collection. Once your environment is ready, you can begin building your model by creating a new collection and importing it for workspace preparation. Refer to:
- [Start Building Your Model with a New Collection] – Step-by-step instructions on how to set up and manage a new model collection in the portal.
 
Create a New Collection on Akselos Portal
On the Akselos Portal, a blank collection is the starting point for building any simulation model. A collection acts as a container for your project data and exists in two locations:
Locally on your drive (where you build the model)
On the cloud (where the solver engine runs)
These two are kept synchronized through a sync process (See Step 8).
To get started:
Step 1: Log in to the Akselos Portal (https://portal.akselos.com) using your account.
Step 2: Go to your workspace (e.g., your organization or team space like: https://portal.akselos.com/CustomerTrainingLIB/<Your _Folder>).
Step 3: Click on the New Collection button, type a name (e.g., REACTORS_UseCase1).
Note: Avoid using spaces and special characters in the name. Use underscores (_) instead to prevent errors.

Step 4: Wait for the collection to be successfully created.
Connect Akselos Modeler to the Cloud
To import collections, sync data, and submit simulation jobs, you need to connect your software to the cloud.
Step 1: In the Akselos Modeler software, go to the top left corner: Cloud ➔ Cloud Configuration...

Step 2: In the pop-up window, enter your Akselos user name and password/token.
Step 3: Click on the Retry Authentication and wait for the indicator light to turn green .

Common Connection Errors:
Yellow light : Internet connection issue.
Red light : Incorrect username or password/token.
Import the Collection into Aselos Modeler
Once connected to the cloud:
Step 1: Navigate to Collections ➔ Import Collection.
Step 2: In the pop-up window, locate your newly created collection or search it from the text box (e.g., CustomerTrainingLIB/REACTORS_UseCase1) and click the Import button.

Step 3: Wait for the import to finish. Users will know it’s complete when the collection name appears in the title bar of the software interface.
Preparation and Downloads
To follow along with the hands-on steps in this use case, you will need to download the following files. These resources provide the necessary inputs for building the model and performing the MPT assessment.
Mesh Files: These are the pre-prepared geometry files (.inp format) for the four main components of the reactor model (top, middle, bottom, and skirt). The Reactor Wizard will use these files to construct the base models.
- Download Link: Link mesh files
 
Sensor information: This file (.csv format) contains details about the sensors, including the type, location,... They are applied to the Heat analysis model. They are connection gates, ensuring that incoming live data from the plant is correctly mapped to the corresponding location in the model.
- Download Link: Link sensor information
 
MPT Curves: This file (.csv format) contains the Minimum Pressurization Temperature data for the material used in this analysis. The curve defines the maximum allowable stress at different temperatures.
- Download Link: Link MPT curve
 
2. Reactor base models creation with Akselos wizards
This section marks the first hands-on step of the tutorial, where we will construct the foundational simulation models for our MPT assessment. We will use the Reactor Model-Load Configuration wizard to automatically build and configure both a thermal and a structural analysis model from pre-prepared mesh files. This powerful tool interprets the geometry and automates the setup of all necessary materials, boundary conditions, and load cases, significantly accelerating the initial phase of the workflow.
Tool Navigation: To open the wizard, navigate to the main menu in the Akselos Modeler software and select:
Tools > Reactors > Reactor Model-Load Configuration

Figure 2.1: Tool navigation and the five main functional groups.
The Reactor Model-Load Configuration wizard interface is organized into five main functional groups, presented as a series of tabs on the left-hand side. Each group must be completed sequentially to properly configure the thermal and structural models for analysis.
The purpose of each functional group is as follows:
Model Initialization: This is the starting point. This tab is used to import the pre-prepared mesh files that define the reactor's geometry. Upon import, the wizard automatically creates two raw models: one for the heat analysis and one for the structural analysis.
Material Definition: This tab manages the material library for the project. Here, you can define new temperature-dependent materials or modify the default ones that will be assigned to the models in the subsequent steps.
Heat Model Configuration: This group of tabs focuses on the complete setup for the thermal analysis model (reactor_heat_analysis_model.aks). The process involves assigning materials to the model's subdomains, automatically creating stored selections for boundary conditions, and defining the specific heat loads required to run the heat transfer analysis.
Structural Model Configuration: This group of tabs prepares the structural analysis model (reactor_structural_analysis_model.aks). Similar to the heat model setup, the process involves assigning materials, creating stored selections, and defining all mechanical loads, such as internal pressure and self-weight.
Asset - Meta Data: This tab is where users can enter asset information, which will then be displayed on the Akselos Dashboard.
STEP 1: Model Initialization
This first tab is used to import the pre-prepared mesh files that define the reactor's geometry. As mentioned in the Before You Start section, these files have been provided for this use case. The wizard requires the mesh to adhere to strict standards for componentization, naming conventions, and sideset IDs to enable automated configuration.
For this model, the following sideset IDs must be defined in the mesh files so the wizard can automatically create the necessary stored selections for applying loads and boundary conditions:
- Inner Surface: Sideset ID 200 is used for all internal surfaces of the reactor that are in contact with the process fluid. This is used to apply internal pressure and heat convection.
 - Outer Surface: Sideset ID 201 is used for the external surfaces of the main vessel.
 - Bottom Part Outer Surface: Sideset ID 202 is specifically for the external surface of the skirt.
 - Nozzle Flanges: Sideset IDs from 205 to 210 are assigned to the flange faces of the nozzles to apply thrust pressure loads.
 - Radiation Surfaces: Sideset IDs from 700 to 707 are used for surfaces that experience heat radiation.
 
For detailed guidelines on componentization, naming conventions, and the complete list of mesh requirements, please refer to the User Manual: Part 1
To complete this step:
Step 1: In the Model Initialization tab, click Add Meshes.

Figure 2.2: aDD mesh files.
Step 2: Navigate to your working folder and select the four prepared mesh files:
- top_part.inp
 - middle_part.inp
 - bottom_part.inp
 - skirt_part.inp
 
Step 3: Once all mesh files are listed, click Import Mesh and Generate Reactor Models.

Figure 2.3: IMPORT MESH AND GENERATE REACTOR MODELS.
Step 4: The wizard will create two raw models: reactor_heat_analysis_model.aks and reactor_structural_analysis_model.aks. A successful import will be indicated by a "Created" message in the Status column for each mesh file.

Figure 2.4: The Status when importing succesfully.
STEP 2: Material Definition
This tab manages the material library for the project. While the wizard provides default materials for both heat and structural analysis, for this use case, we will define a single new material, BS 1501-622B (10CrMo9-10), which will be used for both the thermal and structural models. This ensures consistency in the properties across both simulations.
To complete this step:
Step 1: In the Material Definition tab, click Add Material.
Step 2: A new material named User Defined Material will be created. Click on it and rename it to BS 1501-622B on the right-hand side. Its properties are shown there. Input the temperature-dependent values for both the thermal and temperature_dependent_elasticity aspects.
Step 3: First, expand the temperature_dependent_elasticity properties and input these values .
- Type: IsotropicMaterial
 - Mass Density: 7840*kg/m**3
 - Poisson Ratio: [0.3, 0.3, 0.3, 0.3, 0.3, 0.3]
 - Temperature: [294.15, 394.15, 505.15, 589.15, 672.15, 755.15]*K
 - Thermal Expansion: [1.15e-05, 1.23e-05, 1.31e-05, 1.38e-05, 1.45e-05, 1.52e-05]*1/K
 - Young Modulus: [210e9, 203e9, 195e9, 188e9, 180e9, 172e9]*Pa
 
Step 4: Next, expand the thermal properties and input the following values:
- Type: IsotropicMaterial
 - Mass Density: 7840*kg/m**3
 - Specific Heat: [485, 520, 570, 610, 650, 685]*J/K/kg
 - Temperature: [294.15, 394.15, 505.15, 589.15, 672.15, 755.15]*K
 - Thermal Conductivity: [36.5, 37.0, 36.8, 35.5, 34.2, 32.8]*W/m/K
 
Step 5: Once all properties have been entered correctly, click Next to proceed to the next configuration group.

Figure 2.5: Steps to create and define material item.
STEP 3: Heat Model Configuration
This group of tabs focuses on the complete setup for the thermal analysis model (reactor_heat_analysis_model.aks). The process involves assigning materials, creating stored selections for boundary conditions, and defining the specific heat loads required to run the heat transfer analysis.
Material Assignment
The first step in configuring the heat model is to assign the material we previously defined to all of its components.
To complete this step:
Step 1: Navigate to the Heat Model Configuration - Material tab.
Step 2: In the central panel, you will see a list of all the subdomains for the heat model (e.g., BT_mpt_shell_0, EB4_3).
Step 3: Select all the subdomains in the list by Ctrl + clicking on one by one.
Step 4: On the right-hand side, under the Other Properties panel, locate the material property.
Step 5: Click on the Item field below value: MaterialRef. This will open the material library.
Step 6: From the dropdown list, select the BS 1501-622B material you created.
Step 7: Once the material is assigned to all subdomains, click Next to proceed to the Stored Selection configuration.

Figure 2.6: Assign material for subdomains of the heat model.
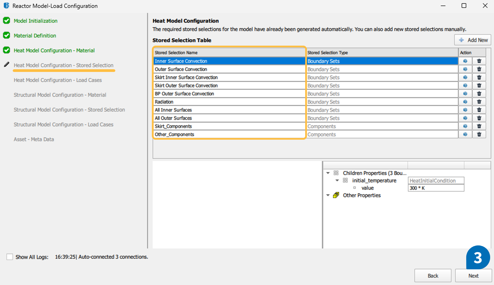
Stored Selection
Stored Selections are named groups of surfaces or components that are essential for setting up the thermal analysis. For a heat model, these selections define the specific boundaries where thermal loads, such as convection and radiation, will be applied. In this step, the wizard automatically creates these thermal-specific selections by reading the predefined sideset IDs from the imported mesh files.
When you proceed from the previous material definition step, the wizard automatically creates these thermal-specific selections by reading the predefined sideset IDs from the imported mesh files. Your task in this step is to verify that the list of selections has been generated correctly.
To complete this step:
Step 1: Navigate to the Heat Model Configuration - Stored Selection tab.
Step 2: Verify that the table has been automatically populated with the following selections. The table below explains the purpose of each selection and its corresponding sideset ID or component name.
Table 2.1: Stored selections and their corresponding sideset ID.

Table 2.2: Stored selections and their corresponding component name

Step 3: Once you have verified the selections, click Next to proceed to Load Case configuration.

Figure 2.7: Stored slection configuration.
Load Cases
Load Cases define the specific thermal loads that will be applied to the model during the analysis. After the stored selections are confirmed, the wizard automatically creates the necessary load cases and assigns them to their corresponding stored selections.
Your task in this step is to verify that the correct load cases have been generated for the thermal analysis.
To complete this step:
Step 1: Navigate to the Heat Model Configuration - Load Cases tab.
Step 2: Verify that the table has been automatically populated with the following load cases. The table below shows which stored selection each load is applied to.
Table 2.3: Load Cases and their corresponding Stored selection.

Step 3: Once you have verified the load cases, click Next to proceed to the Structural Model Configuration.

Figure 2.8: Load Cases configuration.
STEP 4: Structural Model Configuration
This final group of tabs prepares the structural analysis model (reactor_structural_analysis_model.aks). The process is similar to the heat model configuration, involving material assignment, creating stored selections for mechanical loads and constraints, and defining the specific load cases needed to run the structural analysis.
Material Assignment
The first step is to assign the same material we used for the heat model to all components of the structural model.
To complete this step:
Step 1: Navigate to the Structural Model Configuration - Material tab.
Step 2: In the central panel, you will see a list of all the subdomains for the heat model (e.g., BT_mpt_shell_0, EB4_3).
Step 3: Select all the subdomains in the list by Ctrl + clicking on one by one, of top, middle and bottom part (except the skirt).
Step 4: On the right-hand side, under the Other Properties panel, locate the material property.
Step 5: Click on the Item field below value: MaterialRef. This will open the material library.
Step 6: From the dropdown list, select the BS 1501-622B material you created.
Step 7: Once the material is assigned to all subdomains, click Next to proceed to the Stored Selection configuration.

Figure 2.9: Assign material for subdomains of the structural model.
Stored Selection
For a structural model, Stored Selections define the boundaries where mechanical loads (like pressure) and constraints will be applied. As before, the wizard automatically creates these selections based on the mesh sidesets. Your task is to verify the list.
To complete this step:
Step 1: Navigate to the Heat Model Configuration - Stored Selection tab.
Step 2: Verify that the table has been automatically populated with the following selections.
Table 2.4: Stored selections and their corresponding sideset ID

Table 2.5: Stored selections and their corresponding subdomain name.

Step 3: Once you have verified the selections, click Next to proceed to Load Case configuration.

Figure 2.10: Stored selection configuration.
Load Cases
Load Cases define the specific mechanical and thermal loads that will be applied during the structural analysis. The wizard automatically creates these and assigns them to the appropriate stored selections.
To complete this step:
Step 1: Navigate to the Structural Model Configuration - Load Cases tab.
Step 2: Verify that the table has been automatically populated with the following load cases. The table below shows which stored selection each load is applied to.
Table 2.6: Load Cases and their corresponding Stored selection

Step 3: Once you have verified the load cases, click Next to proceed to the Asset - Meta Data tab.

Figure 2.11: Load Cases configuration.
Asset - Meta Data
This section of the wizard is designed for entering key reactor information, such as dimensions, operating conditions, and material specifications. Typical fields include inner radius, shell thickness, working pressure, operating temperature, and operating periods.

Figure 2.12: Asset - metadata tab.
For this specific use case, these details are not required and do not impact the calculation results. Users can leave all fields as their default values and simply click Finish to complete the configuration. Once users finish, the wizard will automatically generate the two base simulation models:
- Heat Model for Thermal Analysis
 - Stress Model for Structural Analysis
 
STEP 5: Assign MPT curves to specific zones
This step links five predefined MPT curves to corresponding zones in the structural model using the Reactor MPT Analysis Configuration Wizard. These assignments are critical for real-time monitoring because they define the safety limits for each region of the reactor.
When the model is live, the applet will perform a heat transfer analysis using sensor data to calculate the temperature distribution, then run a structural analysis to determine maximum principal stresses. The calculated stresses for each zone will be automatically compared against the assigned MPT curve, and a Utilization Factor (UF) will be computed to indicate whether that zone is within its safe operating range. Correct mapping here ensures that automated safety assessments align with material properties and design requirements.
The curves can be created manually or imported from a CSV file. For convenience, a prepared set of CSV files is available for download [here].
Figure 2.13: Sample MPT curve input.
How to assign MPT Curves
Step 1: Open the Structural Model and launch the Reactor MPT Analysis Configuration Wizard.

Figure 2.14: Steps to assign mpt curves.
In the MPT Curves section:
Step 2: Click Add New Curve (+).
Step 3: Rename the curve according to the provided CSV (e.g., Drill).
Step 4: Import the corresponding CSV and confirm that the curve appears correctly in the chart view. Repeat for all five curves.
Step 5: Set the MPT Target Type to MPT Stored Selection Calculation.
Step 6: Click Generate Stored Selection of Zones - The wizard automatically creates five stored selections for the five zones, based on the naming convention used in the mesh.
Step 7: Assign the appropriate MPT curve to each zone using the dropdown in the MPT Curve column.
Step 8: Click Save to finalize.
STEP 6: Assign sensor placeholders for data streaming
In this step, sensor information such as name, tag, type, and location is defined in the Sensor Configuration Wizard to prepare the model for live integration. Defining the correct Tag Name ensures that when the model goes online, the applet can map incoming real-time sensor data to the correct digital placeholder. This mapping is essential for running heat transfer analysis with live data.
Sensor placeholders can be added manually, but for convenience, a prepared CSV file containing the full sensor list is available for download [here].

Figure 2.15: Sample sensor information input.
How to Assign Sensors
Step 1: Open the Heat Model and launch the Sensor Configuration Wizard.

Figure 2.16: Sensor configurtaion wizard navigation.
Step 2: In Stored Selection, select all inner surfaces and all outer surfaces - This enables the tool to auto-compute the wall thickness, which is required for certain sensor calculations.
Step 3: In the Sensor Information Table, click the CSV Import/Export option and select Import CSV. Choose the downloaded sensor CSV file. A list of approximately 30 sensors will be populated.

Figure 2.17: Steps to add sensor information to the heat model
Step 4: Click Preview All to visualize the sensor positions on the reactor model (press Esc to exit preview mode).
Step 5: Click Save to write this sensor information into the model.
At this stage, the model is ready to recognize incoming sensor data during live operation. The applet will use these mappings to apply measured values in heat transfer analysis and maintain alignment between the digital model and the physical asset.
STEP 7: Check model configuration
Before moving to validation or live deployment, it is important to review both the Heat Model and Stress Model to confirm that all configurations have been applied correctly. This step ensures the models reflect the intended setup from previous wizard steps and avoids issues during analysis or cloud synchronization.
The parameters should be concerned:
- Materials: Confirm that all subdomains have the correct material assignments.
 - Stored Selections: Ensure key selections (e.g., nozzles, inner pressure surfaces, MPT zones) are present.
 - Load Cases: Verify that all default and placeholder loads, such as convection, radiation, internal pressure, and nozzle loads, are correctly created.
 - MPT Curves and Sensor Information: Check that curve assignments and sensor placeholders are visible and linked properly. These will be essential during live analysis for real-time assessments.
 
How to Open and Inspect the Models:
Step 1: Go to the main menu and select File > Open File from Collection...
Step 2: In the pop-up window, choose the model to inspect (e.g., reactor_heat_analysis_model.aks) and click Open.
Step 3: Once the model loads, expand the Model Tree on the left panel:
- Review Materials, Stored Selections, and Load Cases for accuracy.
 - Confirm that MPT Curves and Sensor Information appear in the configuration list.
 

Figure 2.18: Steps to check model configuration.
Step 4: Repeat this process for the second model (Stress Model).Tip: Even after closing the model, the MPT Analysis Configuration and Sensor Configuration Wizards can be reopened at any time to review or modify assignments. This flexibility ensures that corrections can be made without restarting the workflow.
STEP 8: Sync and Validate Models Before Go-Live
Data Synchronization
At this stage, the models are fully configured and prepared for cloud deployment. Syncing ensures the latest version is available in the Akselos Portal, where it can later connect to live sensor data and support the automated MPT assessment workflow.
To sync the models:
Step 1: Navigate to the Menu: Go to Collections > Sync with Portal...
Step 2: Commit Changes: In the pop-up window, enter a brief commit message (e.g., "Updated loads and properties") and click Commit Changes.
Figure 2.19: Sync with portal.
When the sync completes, both base models (Heat and Stress) are stored in the cloud and ready for live integration. Integration with the sensor database and dashboard is managed by the Akselos support team at [email protected].
Initial validation analysis
Although the models are prepared for automation, a quick validation run can be performed using the default placeholder values. This check helps confirm that the configuration behaves as expected and that no unusual conditions appear in the results.
These validations confirm that:
Loads and constraints behave as intended.
Geometry and mesh connectivity are correct.
Results are physically meaningful before going live.
Once all observations match expectations, the models can be confidently synced for automated workflows.
Steps to Solve a Model
Step 1 - Open the Model: Go to File > Open File from Collection, then select either the Heat Model or Stress Model.
Step 2 - Navigate to the Solutions Tab: Switch from the Model tab to the Solutions tab.
Step 3 - Start the Solver:
- Click Solve.
 - Ensure Default Solve List is selected.
 - The analysis will run on Akselos cloud servers.
 
Step 4 - Monitor Progress: Status can be viewed in the Akselos Portal. Results will be available after completion.

Figure 2.20: Solve the model.
After solving both models with default placeholder loads, the next step is to confirm the setup behaves logically before moving to live integration. The review focuses on two aspects: the Heat Model and the Stress Model.
Heat Model Results
Navigate to the Solutions tab for the Heat Model and select Temperature in the solution field. This view shows the temperature distribution across the reactor based on the placeholder loads.
What to check and why it matters:
- Smooth, continuous temperature distribution: Discontinuities or sudden changes can indicate gaps in thermal connectivity or missing assignments
 
Figure 2.21: Temperature solution in timesteps = 0 & 1.
- Outer surfaces near default ambient temperature; inner surfaces slightly higher: This verifies that convection and radiation loads are applied correctly. Outer surfaces should stay near the ambient placeholder, while inner walls might show a slightly higher temperature due to applied loads
 

Figure 2.22: Temperature solution of outer/inner surface in timestep = 1.
- No sharp jumps, cold spots, or blank regions: These could mean incorrect boundary sets or missed load assignments during configuration.
 

Figure 2.23: Configuring the solution to check the reliability of boundary conditions.
Stress Model Results
Open the Stress Model and review the results in the Solutions tab. Check two main fields: Displacement and Maximum Principal Stress.
Displacement Field:
- Logical deformation pattern: Internal pressure should cause outward bulging of the shell and heads. Any reversed or unrealistic deformation indicates incorrect load directions or constraints.
 

Figure 2.24: Z displacement solution with Displacement scale = 500.
Maximum Principal Stress:
- Stress concentration in expected areas: These are typical high-stress regions under pressure. Absence of peaks here or spikes in random regions indicates potential modeling issues.
 

Figure 2.25: Maximum principal stress occurs in the weld line.
3. Final Thoughts
Thank you for following this Use Case Guide. We hope it has provided clear steps and practical insights for configuring, validating, and understanding the Reactor base models within the Structural Performance Management workflow. Please note that all settings, parameters, and configurations in this document are purely hypothetical and do not represent or duplicate any real-world asset. Any resemblance to actual equipment or operating conditions is entirely coincidental.
If you have any questions or require further assistance, contact our support team at [email protected]. For additional resources, updates, or to share feedback, please visit the Akselos Portal or reach out to your account representative.